ajp logo

Vente maison Pontivy :  € - AJP Immobilier Pontivy

<<< Retour à la liste des annonces
0 m²
0 m²
0
0
0
0 m²
0 m²
0
0
0

Ref5173 présentée par

AJP Immobilier Pontivy

0 € HAI
Honoraires à la charge du vendeur inclus
Mail Print Facebook LinkedIn Twitter

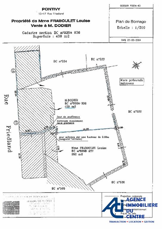
Description de ce bien

Les informations sur les risques auxquels ce bien est exposé sont disponibles sur le site Géorisques : www.georisques.gouv.fr

Performances énergétiques

NC
KWh/m²/an
NC
kg CO²/m².an
NC
CO²/m².an
Montant estimé des dépenses d’énergie : Entre NC € et NC € par an

Mensualité pour ce bien

Situation et environnement

Chargement de la carte...
Afficher le numéro
Contact pour info et visite
Suivez-nous sur la toile !
facebook linkedin google instagram youtube
AJP Immobilier